طوفان ها و تغییرات آب و هوایی –
Hurricanes and climate change
خط بالایی
شواهد همچنان ادامه دارد که تغییرات اقلیمی ناشی از انسان باعث می شود طوفان ها قوی تر و مخرب تر شوند. طوفان ها باران شدیدتری را تولید می کنند ، موج طوفان آنها بر بالای سطح دریا می نشیند و در بسیاری از مواقع مدت طولانی تری بر روی خشکی باقی می مانند و باعث افزایش سیل و تخریب زیرساخت ها می شوند.
حقایقی برای هر داستانی
پنج گرانترین فاجعه سیستم زمینی ایالات متحده (شامل زلزله ، فوران آتشفشان ، آتش سوزی و انواع آب و هوای شدید ، متناسب با تورم) همه طوفان بوده و هر پنج مورد در 15 سال گذشته رخ داده است: هاروی (2017) ، کاترینا (2005) ، سندی (2012) ، ایرما (2017) و ماریا (2017) .12
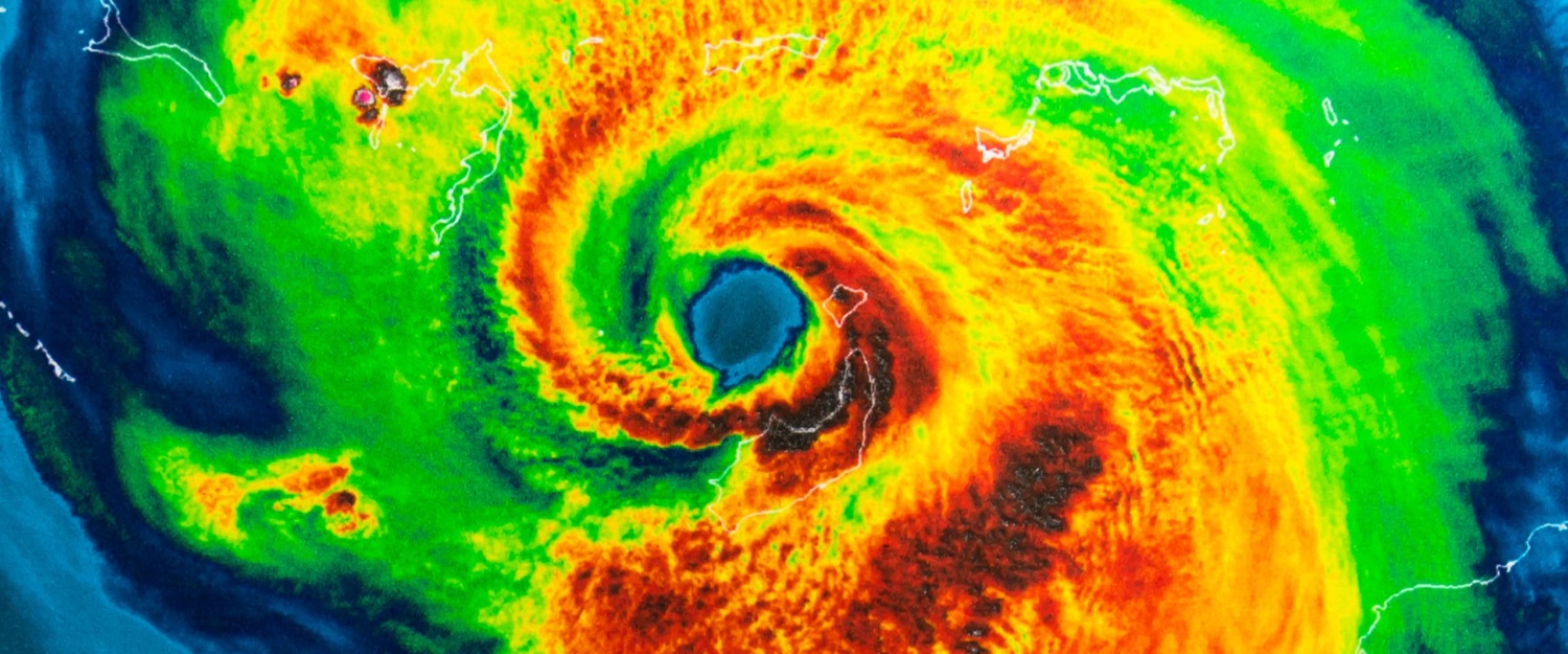
توفان ها انرژی خود را از گرمای اقیانوس ها دریافت می کنند. هرچه آب گرمتر باشد ، طوفان قوی تر می شود. بیش از 90 درصد گرمای مازاد به دام افتاده در سیستم اقلیمی به دلیل گرم شدن کره زمین توسط انسان وارد اقیانوس ها شده است ، که انرژی اضافی را بر شدت باد شدید طوفان های اخیر و افزایش تبخیر که منجر به بارش های سیل آسای همراه شده است ، افزوده است.
در سطح جهانی ، در چند دهه گذشته شاهد افزایش نسبی طوفان های قوی و نسبت نسبتاً کوچکی از طوفان های ضعیف بوده ایم. به طور خاص ، از 1975 تا 2010 ، نسبت طوفان های دسته 4 یا 5 (بیشترین سرعت باد) به ازای هر 1 درجه سانتیگراد افزایش دمای جهان به دلایل انسانی ، 25-30 درصد افزایش می یابد ، و در نتیجه نسبت آن تقریبا دو برابر می شود 4. شدیدترین طوفان ها
بارش شدید باران و طوفان-آب ناشی از وزش باد شدید به ساحل کمک می کند-که منجر به سیل می شود ، که باعث اکثریت قریب به اتفاق مرگبار و خسارات مالی ناشی از طوفان می شود. میزان بارش باران در طوفان های اخیر به دلیل تغییرات آب و هوایی افزایش یافته است ، از جمله در هاروی (20 تا 38 درصد) ، 56 کاترینا ، ایرما و ماریا. [ترجمه ترگمان] طوفانها نیز به دلیل افزایش سطح دریا موج طوفان بیشتری را ایجاد میکنند
به نظر می رسد اختلالات مربوط به تغییرات آب و هوایی در بادهای جوی مانند جریان جت به روندی کمک می کند که طی آن طوفان ها با سرعت بیشتری در امریکا حرکت می کنند 9 (در قرن گذشته 17 درصد کند شده است) ، 10 و به احتمال زیاد “متوقف می شود” ”در نزدیکی ساحل ، به طور بالقوه منجر به بارندگی و سیل فاجعه بار محلی می شود. 1112
در دهه های اخیر افزایش سریع طوفان ها در حوضه اقیانوس اطلس ، نشانه قابل پیش بینی گرمایش زمین ، افزایش چشمگیری داشته است. 13 پیش بینی دقیق طوفان هایی که به سرعت تشدید می شوند و آمادگی برای آنها دشوار است ، به ویژه هنگامی که این اتفاق در نزدیکی ساحل رخ می دهد ، و ایجاد مقدار نامتناسبی از خسارات جانی و مالی
در سطح جهان ، طوفان ها از مناطق گرمسیری به حداکثر شدت خود می رسند و به سمت مناطق ساحلی معتدل و پرجمعیت حرکت می کنند که از لحاظ تاریخی آنها را تجربه نکرده اند. اوج شدت توفان نیمکره شمالی در 30 سال گذشته 100 مایل به سمت شمال تغییر کرده است


